Publicar
Código: 1080866-3567344

Lote en venta, Vereda fagua

Cundinamarca, Chía, Urbanizacion nuevo milenio


Valor de compra:

$280.000.000

Barrios cercanos:

Chia, 

Bachue, 

Ub Calatrava 

Área privada:

 450.0 m2

Área lote:

 80.0 m2

Área construida:

 80.0 m2

El inmueble cuenta con:

Parqueaderos

2


Estrato: 3

Detalles del inmueble

Descripción

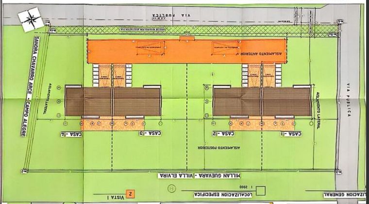
Proyecto de vivienda las eugénicas ubicado en chía, vereda Fagua, sector la carolina. para construir 4 unidades de vivienda en lotes de 450 metros. rodeado de condominios y 2 vías de acceso. Cuenta con todos los servicios públicos en la calle de enfrente. proyecto aprobado por planeación.